RÉGIMEN LEGAL DE BOGOTÁ D.C.

© Propiedad de la Secretaría Jurídica Distrital de la Alcaldía Mayor de Bogotá D.C.

Secretaría
Jurídica Distrital

Cargando el Contenido del Documento
Por favor espere...

Decreto 058 de 2019 Alcaldía Mayor de Bogotá, D.C.

Fecha de Expedición:
18/02/2019
Fecha de Entrada en Vigencia:
18/03/2019
Medio de Publicación:
La Secretaría Jurídica Distrital aclara que la información aquí contenida tiene exclusivamente carácter informativo, su vigencia está sujeta al análisis y competencias que determine la Ley o los reglamentos. Los contenidos están en permanente actualización.


 
 

DECRETO 058 DE 2019

 

(Febrero 18)

 

Por medio del cual se resuelve la solicitud de revocatoria directa del Decreto Distrital 635 de 2017 “Por medio del cual se adopta el Plan Parcial de Renovación Urbana “Ciudad CAN” ubicado en la Localidad de Teusaquillo y se dictan otras disposiciones

 

EL ALCALDE MAYOR DE BOGOTÁ, D. C.

 

En ejercicio de sus facultades constitucionales y legales, en especial las contenidas en el numeral 5 del artículo 27 de la Ley 388 de 1997, modificado por el artículo 180 del Decreto Ley 019 de 2012, los numerales 1 y 4 del artículo 38 del Decreto Ley 1421 de 1993, el artículo 2.2.4.1.3.1 del Decreto Único Reglamentario 1077 de 2015 y el artículo 93 de la Ley 1437 de 2011 y teniendo en cuenta los siguientes,

 

ANTECEDENTES:

 

Que de conformidad con lo señalado en el artículo 31 del Decreto Distrital 190 de 2004- POT, se definen los planes parciales como "(...) los instrumentos que articulan de manera específica los objetivos de ordenamiento territorial con los de gestión del suelo concretando las condiciones técnicas, jurídicas, económico -financieras y de diseño urbanístico que permiten la generación de los soportes necesarios para nuevos usos urbanos o para la transformación de los espacios urbanos previamente existentes, asegurando condiciones de habitabilidad y de protección de la Estructura Ecológica Principal, de conformidad con las previsiones y políticas del Plan de Ordenamiento Territorial".

 

Que el numeral 3 del artículo 32 del POT establece la obligatoriedad de formular planes parciales, entre otras, para las zonas clasificadas como suelo urbano con tratamiento de renovación en la modalidad de redesarrollo. Que el artículo 373 del POT define el Tratamiento de Renovación Urbana como aquél que "(...) busca la transformación de zonas desarrolladas de la ciudad que tienen condiciones de subutilización de las estructuras físicas existentes, para aprovechar al máximo su potencial de desarrollo. Estas zonas se encuentran en una de las siguientes situaciones: 1. Deterioro ambiental, físico, o social; conflicto funcional interno o con el sector inmediato; 2. Potencial estratégico de desarrollo de conformidad con el modelo de ordenamiento adoptado por este Plan. ".

 

Que el Decreto Nacional 1077 de 2015 compiló la reglamentación sobre las disposiciones relativas al procedimiento de formulación, concertación y adopción de los planes parciales contenidos en la Ley 388 de 1997 y el artículo 2.2.1.1 de Decreto Nacional 1077 de 2015 define el tratamiento urbanístico de renovación urbana en la modalidad de redesarrollo así:

"(…)

 

Tratamiento de Renovación Urbana Modalidad de Redesarrollo. Corresponde a las zonas en las que se requiere efectuar la sustitución de las estructuras urbanas y arquitectónicas mediante procesos de reurbanización que permitan generar nuevos espacios públicos y/o privados, así como una nueva definición de la normatividad urbanística de usos y aprovechamientos. En esta modalidad, el Plan de Ordenamiento Territorial define las directrices genera/es y mediante los Planes Parciales se desarrollan y complementan las determinantes previstas en el Plan de Ordenamiento Territorial. En este tratamiento se permite adelantar las actuaciones de urbanización con el fin de urbanizar nuevamente los predios.

 

El tratamiento urbanístico de renovación urbana en la modalidad de redesarrollo está dirigido a promover la transformación de zonas desarrolladas de la ciudad que se encuentran en deterioro físico y social y que por ello presentan condiciones de subutilización de la infraestructura existente.

 

La aplicación de este tratamiento implica la sustitución y/o reconstrucción total o parcial de las edificaciones existentes, recuperación y el manejo ambiental sostenible del sistema de espacio público, redes de infraestructura y manejo ambiental, en consonancia con las necesidades derivadas de las nuevas condiciones de densidad habitacional y usos del suelo y las características ambientales de la zona. Implica además la formulación de estrategias sociales que permitan atender a las demandas de los grupos sociales actualmente localizados en el área".

 

(…)”

 

Que el artículo 5° del Decreto Distrital 301 de 2011 "Por el cual se actualiza la reglamentación de la Unidad de Planeamiento Zonal (UPZ) No.104, PARQUE SIMÓN BOLÍVAR – CAN”, le asigna al sector 2 el tratamiento de renovación urbana en la modalidad de redesarrollo.

 

Que el Consejo Nacional de Política Económica y Social- CONPES, mediante documentos 3251 de 2003, 3493 de 2007, 3615 de 2009 y 3694 de 2011, por los cuales se establecen los "Lineamientos de Política y Estrategia Institucional para la Implementación del Provecto de Renovación Urbana del Centro Administrativo Nacional - CAN", evidenció que la infraestructura de las entidades públicas localizadas en el sector 2 de la UPZ No. 104, correspondiente al CAN, no respondía a sus necesidades operacionales y estratégicas existiendo obsolescencia física y funcional en gran parte de ellas.

 

Que por lo anterior, mediante radicado n.º 1-2016-31136 del 27 de junio de 2016 la señora Claudia María Luque Gordillo, actuando en calidad de Directora General de la Agencia Nacional Inmobiliaria Virgilio Barco Vargas (ANIB), radicó ante la Secretaría Distrital de Planeación, la formulación del Plan Parcial de Renovación urbana “Ciudad CAN”.

 

Que en vista del cumplimiento de las exigencias normativas contenidas en la Ley 388 de 1997, en el Decreto Nacional 1077 de 2015, el Decreto Distrital 190 de 2004 - Plan de Ordenamiento Territorial y el Decreto Distrital 080 de 2016, mediante Decreto Distrital 635 del 21 de noviembre de 2017 se adoptó el Plan Parcial de Renovación Urbana “Ciudad CAN” ubicado en la Localidad de Teusaquillo.

 

Que el mencionado decreto fue publicado mediante registro Distrital Nº 6002 del 22 de noviembre de 2017 y su vigencia inició el 24 de noviembre de 2017.

 

Que mediante radicación No.º 1-2018-73197 del 18 de diciembre de 2018, el señor Jaime Franky Rodríguez, actuando como Vicerrector de la Sede Bogotá de la Universidad Nacional de Colombia, de conformidad con la Resolución de nombramiento No.º 500 del 3 de mayo de 2018 y el Acta de Posesión Nº 082 del 4 de mayo de 2018, y además en calidad de delegado del Rector dentro de la Comisión Asesora para la defensa de la Universidad Nacional de Colombia en el proceso de renovación urbana del CAN, presentó solicitud de revocatoria directa contra el Decreto Distrital Nº 635 de 2017.

 

Que pasa el despacho a resolver la solicitud de revocatoria directa parcial del Decreto Distrital Nº 635 de 2017, previas las siguientes,


CONSIDERACIONES DEL DESPACHO:

 

1.  Análisis sobre la revocatoria directa

 

La Ley 1437 de 2011 que adoptó el Código de Procedimiento Administrativo y de lo Contencioso Administrativo, desarrolla en su Título III, Capítulo IX la figura jurídica de la revocatoria directa como un mecanismo que permite a la propia administración, de oficio o a solicitud de parte, la revisión de sus propios actos.

 

En el artículo 93 ibídem, se enuncian de manera taxativa las causales por las cuales pueden ser revocados los actos administrativos, así:

 

"ARTÍCULO 93. Los actos administrativos deberán ser revocados por las mismas autoridades que las hayan expedido o por sus inmediatos superiores jerárquicos o funcionales, de oficio o a solicitud de parte, en cualquiera de los siguientes casos:

 

1. Cuando sea manifiesta su oposición a la Constitución Política o a la ley.

 

2. Cuando no estén conformes con el interés público o social, o atenten contra él.

 

3. Cuando con ellos se cause agravio injustificado a una persona."

 

Que la revocatoria directa se constituye en una prerrogativa de la administración para volver sobre sus propios actos y retirarlos del mundo jurídico si se presenta alguna de las causales anteriormente enunciadas en la norma citada.


1.1. Requisitos de procedibilidad para actos administrativos de carácter general

 

El Decreto Distrital Nº 635 de 2017 “Por medio del cual se adopta el Plan Parcial de Renovación Urbana “Ciudad CAN” ubicado en la Localidad de Teusaquillo y se dictan otras disposiciones”, es un acto administrativo de carácter general, impersonal y abstracto por cuanto su finalidad conforme lo señala el artículo 19 de la Ley 388 de 1997, es desarrollar y complementar las disposiciones de los planes de ordenamiento para áreas determinadas del suelo urbano, incluyendo las normas urbanísticas específicas para el área actual del centro Administrativo Distrital - CAN que incluye la definición de usos específicos del suelo, intensidades de ocupación y construcción, retiros, aislamientos, empates y alturas, etc.

 

Respecto de la figura de la revocatoria directa, la Ley 1437 de 2011 – Código de Procedimiento Administrativo y de lo Contencioso Administrativo, no establece diferencias entre el carácter general o particular de los actos administrativos para determinar la procedibilidad de este recurso extraordinario. Por lo anterior, en los términos establecidos en el artículo 93 de la mencionada ley, es procedente la presentación de una solicitud de revocatoria directa contra un acto administrativo de carácter general y así lo ha reconocido la jurisprudencia de la Corte Constitucional[1].


Además, el artículo 94 señala que la solicitud de revocatoria no procederá frente a los actos administrativos respecto de los que se alegue su manifiesta oposición a la Constitución Política o a la ley, cuando el peticionario haya interpuesto los recursos de que dichos actos sean susceptibles, ni en relación con los cuales haya operado la caducidad para su control judicial.

 

 Al respecto, frente a la primera condición, se observa que el Decreto Distrital 635 de 2017, no es susceptible de ser recurrido mediante los recursos ordinarios de ley, teniendo en cuenta que como lo señala el artículo 75 del CPACA, "No habrá recurso contra los actos de carácter general, ni contra los de trámite, preparatorios, o de ejecución excepto en los casos previstos en norma expresa".

 

A su vez, frente a la segunda condición y atendiendo la ya citada naturaleza del acto, el artículo 164 del Código de Procedimiento Administrativo y de lo Contencioso Administrativo, dispone que la demanda de nulidad contra actos administrativos de carácter general prevista en el artículo 137, procede en cualquier tiempo, lo que significa que para este tipo de actos no opera la figura de la caducidad.

 

En tal sentido, teniendo en cuenta que en el presente asunto no se configuran las dos causales de exclusión de la acción, se considera que la solicitud de revocatoria directa es procedente.

 

1.2. Oportunidad

 

El inciso 1º del artículo 95 del CPACA señala que la "revocación directa de los actos administrativos podrá cumplirse aun cuando se haya acudido ante la Jurisdicción de lo Contencioso Administrativo, siempre que no se haya notificado auto admisorio de la demanda".

 

Al respecto, una vez consultado el Sistema de Información de Procesos Judiciales de Bogotá D.C. SIPROJ, no se encuentra que la Secretaría Jurídica Distrital haya sido notificada de auto admisorio de demanda alguna en contra del Decreto Distrital 635 de 2017, razón por cual, la presente solicitud resulta oportuna.

 

2.  Argumentos del solicitante

 

El señor Jaime Franky Rodríguez señala que con la expedición del Decreto Distrital 635 de 2017 se está causando un agravio injustificado a la Universidad Nacional de Colombia por cuanto, en su concepto, el proyecto de renovación urbana aprobado por ese acto administrativo incluyó una porción de terreno de propiedad de esa institución educativa, a pesar que dentro del trámite de formulación del proyecto y en el proceso de socialización del mismo se solicitó y finalmente se acordó “la desvinculación de los predios de la Institución Educativa dentro del proyecto (…)”.

 

Precisa que “[en EL Decreto 635 de 2017, la Alcaldía Mayor de Bogotá y la Secretaría Distrital de Planeación, incluyeron dentro de los planos identificados como 1 de 4 (…), la ampliación de la Carrera 45, con el fin de adecuar esa vía pública en doble sentido, para lo cual trazaron el modelo de la calle sobre la franja verde que existe entre la cerca levantada en el costado occidental de la Universidad y la carrera 45, desconociendo la propiedad de la Institución Educativa sobre esa porción de terreno de acuerdo con lo establecido en la Escritura Pública 3168 del 28 de septiembre de 1939 de la Notaría primera del Círculo de Bogotá”.

 

Precisa el solicitante que, la desvinculación de los predios de la Universidad Nacional del ámbito de aplicación del plan parcial se solicitó a la Secretaría Distrital de Planeación en el marco del proceso de participación y socialización del proyecto, mediante el oficio N° 1-2017-09308, y que la respuesta otorgada a esta petición fue positiva. Agrega que, así se evidencia en la anotación número 237 de la matriz de respuesta a observaciones recibidas en la fase de información y participación de interesados que hace parte de la Resolución Nº 1527 de 2017 de la Secretaría Distrital de Planeación, por medio de la cual se decidió sobre la viabilidad del proyecto de plan parcial, en donde se concluyó que “El PPRUCAN no interviene los predios de la UN ni plantea ninguna intervención a futuro”, y en consecuencia, la decisión a la solicitud fue “(…) eliminar toda intervención sobre los predios de la UN en el documento técnico de soporte”.

 

A pesar de lo anterior, el solicitante reconoce que en la anotación Nº 182 de la mencionada matriz de participación, se mencionó “la existencia de una cesión tipo B, la cual, presuntamente se definió desde el año 1980 para llevar a cabo el antiguo proyecto de la carrera 50, obra que en todo caso no se ejecutó, pero que al parecer fue interpretado por la Alcaldía Mayor como un terreno distrital y por lo tanto fue incluido de manera errónea en la planimetría del PPRU CAN”.

 

Sobre este tema, señala que revisadas las disposiciones del Decreto Distrital Nº 635 de 2017 “(…) no se encontró un capítulo que contemplara los saneamientos de los predios que se intervendrían para el proyecto de PPRU CCAN, razón por la cual no se puede verificar con el acto administrativo si sobre la zona verde (…) existe o no una cesión, más cuando no existe un acto administrativo o escritura pública que haya registrado dicha cesión como consecuencia de la existencia de una obra que obligara a esta Institución Educativa a entregar esa porción de terreno como zona de cesión.

 

Alega que la Universidad Nacional “(…) dispone de un estudio topográfico del perímetro del campus, en la (sic) que se verificó de manera clara y real, los linderos de la Universidad concluyendo que la zona verde que existe entre la cerca de la Universidad y la Carrera 45, siempre ha pertenecido a la Universidad Nacional de Colombia (…).” Menciona que el levantamiento topográfico suscrito por el ingeniero Aulio Tovar Solano concluye que: “(…) (i) el área total de la Universidad es mayor al reconocido en el folio de matrícula inmobiliaria (…) y (ii) la zona verde que existe en el costado occidental entre la calle 26 y la calle 53 sobre la carrera 45, es propiedad de la Universidad, al validarse que sobre esa porción de terreno no ha habido disposición alguna (…) así como tampoco está registrada en el folio de matrícula inmobiliaria 050C00290796 venta, cesión y/o donación”. Sobre este punto, cabe destacar por parte del Despacho que no se aportó dentro del trámite copia del mencionado estudio topográfico.

 

Por lo expuesto, concluye el solicitante que con esta situación se está causando un agravio injustificado a la Universidad Nacional “(…) al disponer de manera arbitraria sobre predios que quedaron por fuera de toda intervención distrital al ser propiedad de una Institución Educativa que desde el principio manifestó su negativa a participar del proyecto”.

 

Lo anterior, al demostrarse, en su criterio, que “la Universidad es propietaria de esa porción de terreno tal como lo demuestran las escrituras públicas de propiedad de la Institución Educativa, incluyendo no solo el cerramiento en sí, sino la zona verde que existe entre la Carrera 45 y la cerca dispuesta en el costado occidental de la Universidad. En ese sentido debe excluirse de la planimetría del plan parcial, esa franja de terreno por haber quedado excluida de manera taxativa por parte del ente territorial, y en su lugar, revocar parcialmente el Decreto 635 de 2017 en lo que respecta a la inclusión y/o cualquier mención referente a la Universidad Nacional de Colombia (…)”.

 

3.            Problema Jurídico

 

De conformidad con los argumentos expuestos por el solicitante, corresponde a este despacho determinar si con la inclusión de la franja de zona verde existente en el lindero occidental de la Universidad Nacional, que se extiende entre las calles 26 y 53 sobre la carrera 45, se afectó al solicitante al punto que esto implique la configuración de una causal que dé lugar a la revocatoria parcial del acto. Para tal fin se tendrá en cuenta: (i) la información obrante respecto de la titularidad del predio en el folio de matrícula inmobiliaria 50C290796; y (ii) la información urbanística con la que cuenta la Secretaría Distrital de Planeación respecto de esta porción de terreno.

 

Lo anterior, con el fin de concluir si con la expedición del Decreto Distrital 635 de 2017 “Por medio del cual se adopta el Plan Parcial de Renovación Urbana “Ciudad CAN” ubicado en la Localidad de Teusaquillo y se dictan otras disposiciones” se está causando un perjuicio irremediable a la Universidad Nacional de Colombia al haber incluido una porción de terreno de su propiedad cuando en el proceso de viabilidad del plan parcial se acordó eliminar toda intervención sobre predios de esta Institución Educativa.

 

4.   Caso Concreto

 

4.1.  Análisis del Despacho

 

Efectuadas las anteriores consideraciones y formulado el problema jurídico se procede al análisis de los argumentos expuestos por el peticionario en la solicitud de revocatoria directa parcial del Decreto Distrital 635 de 2017.

 

4.1.1. Sobre la información relacionada con la titularidad del inmueble obrante en el Folio de Matrícula Inmobiliaria 50C-290796

 

El solicitante señala que con la expedición del Decreto Distrital Nº 635 de 2017 y sus planos se está “(…) desconociendo la propiedad de la Institución Educativa sobre esa porción de terreno de acuerdo con lo establecido en la Escritura Pública 3168 del 28 de septiembre de 1939 (…)” y lo descrito en la Escritura Pública 3451 de 1937. Adicionalmente señala que conforme a lo indicado en el levantamiento topográfico realizado por el ingeniero Aulio Tovar Solano “(…) el área total de la Universidad es mayor al reconocido en el folio de matrícula inmobiliaria (…) y sobre esa porción de terreno no ha habido disposición alguna por parte de esta Institución, así como tampoco está registrada en el folio de matrícula inmobiliaria 050C00290796 venta, cesión y/o donación alguna.”

 

En primer lugar, es preciso señalar que no se aportó al trámite la copia de las escrituras públicas que se mencionan, ni el certificado de tradición y libertad del folio de matrícula inmobiliaria 50C-290796, como tampoco el estudio topográfico que se cita en la solicitud de revocatoria parcial.

 

No obstante, lo anterior, con el fin de verificar la información sobre los títulos de propiedad de la porción de terreno que alega la Universidad Nacional en su escrito, se revisó la información del Folio de Matrícula Inmobiliaria 50C-290796 obrante en la Ventanilla Única de la Construcción y la Ventanilla Única de Registro, encontrando la siguiente información:

 

1. El predio señalado actualmente se encuentra en cabeza del Distrito Capital:

 

 

*Tomado de la Ventanilla de la Construcción – VUC el 8 de febrero de 2019

 

2. Como se ve en la imagen, el predio indicado en el escrito corresponde a un inmueble de mayor extensión del que se derivaron tres (3) nuevos predios identificados con los folios de matrícula inmobiliaria:

 

-     50C-1273584 cuyo titular es la Fiduciaria de Occidente como vocera administradora del Patrimonio Autónomo Fideicomiso Fiduoccidente; y del que se derivan 117 folios de matrícula.

 

-     50C-1661041 cuyo titular es el Instituto de Desarrollo Urbano – en virtud de un proceso de expropiación por vía judicial.

 

-     50C-1772535 cuyo propietario es el Distrito Capital en virtud de una cesión de bienes obligatoria a través de la Escritura Pública 3176 del 28 de diciembre de 2007 de la Notaría 15 del Círculo de Bogotá.

 

Por otro lado, contrario a lo que indica el solicitante, las Escrituras Públicas 3451 de 1937 y 3168 de 1939, ambas de la Notaría 1 del Círculo de Bogotá, no se refieren a que la propiedad de este inmueble haya sido adquirida por la Universidad Nacional. Al respecto, la primera de éstas contempla la compraventa realizada por la Nación a terceros, y la segunda hace referencia a una aclaración de los linderos del inmueble. La donación del inmueble identificado con Folio de Matrícula Inmobiliaria 50C-293796 que realiza la Nación a esa Institución Educativa se realizó posteriormente mediante la Escritura Pública 3408 de 1939 de la Notaría 1 del Círculo de Bogotá, que no es mencionada en su escrito.

 

Ahora, pareciera desconocer el solicitante que los linderos del inmueble de mayor extensión fueron modificados posteriormente mediante la Escritura Pública 1954 del 16 de julio de 2003 de la Notaría 8 del Círculo de Bogotá, inscrita igualmente en el Folio de Matrícula Inmobiliaria 50C-293796, título que es el sustento de los planos topográficos TE13/1-00 y TE13/1-03, que como se verá más adelante, no contemplan la franja señalada por el solicitante dentro de los límites del predio del que se alega titularidad por parte de la Universidad Nacional.

 

Lo anterior, por cuanto la información de linderos que obra en el folio de matrícula inmobiliaria 50C-293796, que a su vez se fundamenta en la Escritura Pública 1954 del 16 de julio de 2003 de la Notaria 8 del Circulo de Bogotá, indican que la porción de terreno objeto de discusión por parte del solicitante de la revocatoria, no hace parte del área del mencionado inmueble.

 

Así las cosas, a pesar que el solicitante se refiere a una franja de terreno que va de la calle 26 a la 53 sobre la carrera 45, se observa que no identificó de manera concreta cual es el/los folio/s de matrícula inmobiliaria que identifica/n el área objeto de discusión como de su propiedad, así como tampoco fue posible verificar en este trámite, con la información aportada y con la revisión de la información del Folio de Matrícula Inmobiliaria 50C-293796 en la Ventanilla Única de la Construcción y la Ventanilla Única de Registro, que el predio objeto de estudio es en efecto de propiedad de la Universidad Nacional.

 

4.1.2.   Sobre la Información Urbanística del inmueble obrante en la Secretaría Distrital de Planeación

 

Se debe tener en cuenta que, la porción de terreno a la que se refiere el solicitante corresponde a una franja que va desde la calle 26 a la calle 53 sobre la carrera 45. Respecto a este tramo, se encontraron diferentes actos urbanísticos que hacen referencia a la naturaleza de esta zona:

 

4.1.2.1  Resolución 03 de 1989 expedida por el entonces Departamento Administrativo de Planeación Distrital

 

Frente a la porción de terreno ubicada sobre la Carrera 45 entre las Calles 26 y 44 la Resolución 03 de 1989 “mediante la cual se reconoce el Desarrollo Institucional Centro Administrativo Nacional C.A.N. y se aprueba el Plan de Estructura Física de dicho desarrollo”  afirma en el numeral 3 de la parte considerativa que “(…) la Nación adquirió mediante escritura pública No. 2714 del 18 de julio de 1956, de la Notaría Quinta de Bogotá, un globo de terreno para la construcción del Centro Nacional Administrativo-CAN.”

 

En el plano urbanístico 295/4-04 adoptado por la Resolución 03 de 1989 se indica que una parte de la franja, de la cual la Universidad Nacional de Colombia alega ser propietaria en la solicitud de revocatoria, corresponde a una cesión tipo B. Ver imágenes 1 y 2 más adelante. Por lo cual, es claro que esta franja de terreno, fue excluida desde 1989 del área del predio del que se alega titularidad por parte de la Universidad Nacional, y no hace parte del Decreto de Plan Parcial objeto del presente acto.

 

El Acuerdo Distrital 7 de 1979 “Por el cual se define el Plan General de Desarrollo Integrados y se adoptan políticas y normas sobre el uso de la tierra en el Distrito Especial de Bogotá”, norma con base en la cual se expidió la Resolución No. 03 de 1989 y que adoptó el plano 295/4-04, define la Cesión tipo B como: “(…) la parte del predio transferido por el urbanizador de un desarrollo para equipamiento comunal privado”.

 

 

Imagen 1. Carrera 45 entre Calle26 y Calle 44. Desarrollo Institucional CAN. Fuente: Plano 295/4-04

 

 

 

Imagen 2. Cuadro Áreas Proyecto Reordenamiento Urbano CAN. Fuente: Plano 295/4-05

 

 

4.1.2.2. Estudio realizado por la Dirección de Vías, Transporte y Servicios Públicos de la Subsecretaria de Planeación Territorial de la Secretaría Distrital de Planeación — Memorando No. 3-2014-10637

 

La Dirección de Vías, Transporte y Servicios Públicos de la Subsecretaría de Planeación Territorial de la Secretaría Distrital de Planeación diferenció los 3 tramos que conforman la Carrera 45 mediante memorando 3-2014-10637del 2 de julio de 2014, así:

 

“(…)

 

Tramo entre la Avenida Jorge Eliecer Gaitán y la Calle 44 (antigua diagonal 40): Este sector de conformidad con el plano 295/4-04 del CAN se tiene definida una vía tipo V-7 de 15.0 metros de ancho, distribuidos en calzada de 9.0 m y andenes de 3.0 metros, y una Cesión Tipo B de ancho variable ubicada al costado occidental de la Universidad Nacional de Colombia.

 

Tramo 2: Entre Calle 44 (antigua diagonal 40) y Calle 44C (antigua diagonal 43), aunque en el plano 487/4-4 de la Urbanización Rafael Núñez se indica una vía de 60.0 metros de ancho (ver figura 2), dicha vía se encuentra fuera de los linderos de la urbanización, al igual que no forma parte de los planos topográficos de la Universidad Nacional Incorporados con los números TE13/1-00, 01-02-03-04 y 05.

 

Tramo 3: Entre Calle 44C y Calle 53, conforme al plano 487/4-6 de la Urbanización Rafael Núñez se tiene indicada una vía tipo V-4E de 30.0 metros de ancho, con la sección transversal (…) sin embargo sólo se encuentra la mitad de la vía dentro de los linderos de la urbanización Rafael Núñez.

 

(…)

 

Entre Calle 26 y Calle 44 se tiene que es un espacio privado del Centro Administrativo Nacional por ser una Cesión Tipo B, se exceptúa la vía de 14.0 metros de ancho que es cesión para uso público.

 

Entre Calle 44 y Calle 44C existe una franja de 60.0 metros de ancho para la cual no es posible establecer el carácter público o privado de la misma, ya que la misma no se encuentra incorporada ni en planos topográficos ni en planos urbanísticos.

 

Entre Calle 44C y Calle 53 se tiene una franja de 15.0 metros de ancho que fue cedida con el Urbanismo de Rafael Núñez para vía, es decir corresponde a espacio público. La franja restante, ubicada entre la Urbanización Rafael Núñez y la Universidad Nacional, no se encuentra incorporada en la cartografía de la Secretaría Distrital de Planeación”.

 

4.1.2.2 Resolución 0503 de 2015 expedida por la Secretaría Distrital de Planeación - Plan de regularización y Manejo Universidad Nacional

 

La Universidad Nacional de Colombia cuenta con un Plan de Regularización y Manejo PRM adoptado mediante Resolución n.º 0279 del 23 de mayo de 2005, modificada mediante Resolución n.º 0503 del 11 de mayo de 2015.

 

Al respecto, el Departamento Administrativo de la Defensoría del Espacio Público - DADEP, mediante concepto con radicación n.º 1-2017-12449 de la Secretaría Distrital de Planeación, dirigido a la JAL de Teusaquillo, señala que hay una zona incorporada en la Resolución 0279 de mayo 23 de 2005 donde en su numeral 2.2.3 menciona “Adecuación vía parque lineal Transversal 38ª-Parque Lineal” (la TV 38 actualmente corresponde a la Carrera 45 entre calle 26 y 53) que corresponde a una acción de mitigación del PRM en comento (ver imagen 3).

 

 


Imagen 3. Plano concepto DADEP a JAL. Fuente: Sistema de Información Geográfica de la Defensoría del Espacio Público

 

 

4.1.2.3. Planos Topográficos TE13/1-00 y TE13/1-03 – Información de la Base de Datos Geográfica Corporativa –BDGC de la SDP

 

Consultada la información de la Base de Datos Geográfica Corporativa - BDGC de la Secretaría Distrital de Planeación, la Carrera 45 no se encuentra dentro de los límites del predio de propiedad de la Universidad Nacional establecidos por los planos topográficos TE13/1-00 y TE13/1-03, tal como se puede observar en la imagen 4. 


Imagen 4. Relación de los planos topográficos de la Universidad Nacional con el área en consulta.

Fuente: Base de Datos Geográfica Corporativa - BDGC

 

 

Los planos TE13/1-00 y TE13/1-03 están basados en un Acto Administrativo de tipo cartográfico que se presume legal, en concordancia con los linderos establecidos por la Escritura 1954 del 16 de julio de 2003, y los mismos no involucran el predio del cual alega ser propietaria la Universidad Nacional de Colombia en la solicitud de revocatoria directa parcial.

 

Además, revisada la planimetría del Decreto Distrital 635 de 2017 se observa que el límite del PPRU “Ciudad CAN” no presenta superposición alguna con el límite de la Universidad Nacional definido en el plano topográfico TE 13/1-00, como se observa en la imagen 5:

 

 

Imagen 5. Delimitación ámbito planificación PPRU Ciudad CAN. Fuente: Base de Datos Geográfica Corporativa SDP

 

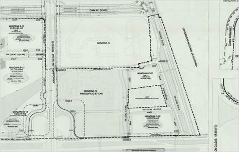
Así como tampoco se involucran predios de la Universidad en la planimetría del PPRU, tanto para su ámbito de planificación como para las obras por fuera del mismo, como se alega en la petición:

 

 

Imagen 6. Propuesta General de Urbanismo y Cuadro General de Áreas- Decreto 635 de 2017- Plano 1/4

 

Como se demostró, tanto la información jurídica y la descripción de los linderos del Folio de Matrícula Inmobiliaria 50C290796, como la información urbanística con la que cuenta la Secretaría Distrital de Planeación, fueron el sustento de la inclusión de esta porción de terreno en el Plano 1 de 4 del Plan Parcial "Ciudad CAN". Por esta razón, no se comparte lo manifestado por el solicitante cuando afirma que el Decreto Distrital 635 de 2017 desconoció los acuerdos y compromisos realizados en el marco del proceso de participación y socialización del proyecto, en donde se acordó en el numeral 237 de la matriz que '() [e]i PPRUC'AN no interviene los predios de la UN ni plantea ninguna intervención a futuro". En ese sentido, y conforme a la documentación aportada queda claro que el Plan Parcial de Renovación Urbana Ciudad CAN no incluyó predios respecto de los cuales sea propietaria la Universidad Nacional.

 

Así las cosas, no es posible acceder a las pretensiones de la solicitud de revocatoria parcial por cuanto: (i)  no se presentó por parte del solicitante documentación que acredite la propiedad de la porción de terreno que alega de titularidad de la Universidad Nacional y no pudo constatarse la misma en la información del Folio de Matrícula Inmobiliaria 50C-290796 señalado en la solicitud de revocatoria; (ii) la información urbanística con la que cuenta la Secretaría Distrital de Planeación contenida en la Resolución Nº 03 de 1989,las Resoluciones N°  0270 de 2005 y 0503 de 2015, así como la información de la Escritura Pública Nº 1954 de 2003 que aclara los linderos del predio señalado por el solicitante con base en la cual se elaboraron los Planos Topográficos TE13/1-00 y TE13/1-03, con lo cual no se determina que la Universidad Nacional sea propietaria de la franja de terreno comprendida en el lindero que se extiende entre la calle 26 y la calle 53 sobre la carrera 45; y (iii) no se demuestra la existencia de un perjuicio irremediable que afecte a la Universidad Nacional.

 

Que, en mérito de lo expuesto,

 

DECRETA:

 

ARTÍCULO 1º. Negar la solicitud de revocatoria directa parcial presentada contra el Decreto Distrital 635 de 2017 “Por medio del cual se adopta el Plan Parcial de Renovación Urbana “Ciudad CAN” ubicado en la Localidad de Teusaquillo y se dictan otras disposiciones”, por las razones señaladas en la parte motiva de este acto administrativo.

 

ARTÍCULO 2.º Notificar el contenido del presente Decreto a la Universidad Nacional de Colombia representada por el señor Jaime Franky Rodríguez.

 

ARTÍCULO 3º. Contra la presente decisión no procede recurso alguno, de conformidad con lo dispuesto en el artículo 95 de la Ley 1437 de 2011 – Código de Procedimiento Administrativo y de lo Contencioso Administrativo.

 

NOTIFÍQUESE, PUBLÍQUESE Y CÚMPLASE

 

Dado en Bogotá, D.C., a los 16 días del mes de febrero del año 2019.

 

ENRIQUE PEÑALOSA LONDOÑO

 

Alcalde Mayor de Bogotá D.C.

 

ANDRÉS ORTIZ GÓMEZ

 

Secretario Distrital de Planeación


NOTA AL PIE DE PÁGINA:

 

[1] Corte Constitucional, Sentencia T-639 de 1996. M.P. Vladimiro Naranjo mesa. "Lo anteriormente apuesto, permite concluir que los actos administrativos de carácter general y abstracto son, en esencia directamente revocables por aquella autoridad que los ha proferido y su mutabilidad radica en la necesidad que tiene la Administración de satisfacer el interés público, ajustando sus decisiones a las circunstancias existentes al momento de aplicar dicho precepto. Cuando dichas condiciones cambian sustancialmente, hasta el punto de hacer imposible la permanencia de dicho atto administrativo en el ordenamiento jurídico, debe ser retirado del mismo, según las circunstancias que analizará la autoridad que lo profirió para proceder a revocarlo.”